Филигранная работа
Мультиспектральная съемка помогает «разглядеть» водяные знаки средневековых рукописных памятников.
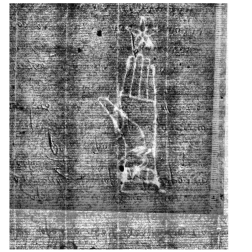
Средневековые филиграни (водяные знаки) — это полупрозрачные «рисунки» на бумажных листах, которые получались при ручном производстве бумаги в средневековье и новое время (на рубеже XIX и XX вв. машинное производство сменило ручное, однако филиграни в особых сортах бумаги используются до сих пор). Когда бумажную массу клали на проволочную сетку с прикрепленным к ней проволочным же рисунком, а затем прессовали, то слой бумаги над выпуклой проволокой оказывался немного тоньше, чем в остальном массиве. Этот рисунок, а также проволочную сетку, можно разглядеть на просвет.



Филиграни служили маркерами той или иной бумажной мельницы, её владельца или сорта бумаги. Филиграни — уникальный источник информации о времени и отчасти месте производства бумаги, использовавшейся в рукописных и печатных памятниках, который помогает определить время появления самого артефакта.
Мы говорим о европейской бумаге, но она имеет значение и для России. Отечественное бумажное ручное производство появилось только в XVIII веке, и не сразу качество производимой бумаги было достаточным для письма. Поэтому европейская бумага была основным писчим материалом со второй половины XIV в. и до второй трети XVIII в.
Так что информация о филигранях бумаги, что использовалась на территории России, приобретает дополнительное значение для историков, и в идеале должна быть доступна всем в качестве единой базы данных, к которой смогут обращаться ученые.
В России значение филиграней для исторической науки поняли одними из первых, что нашло отражение в первых печатных альбомах водяных знаков в XIX в. Важная роль тут принадлежит Государственному историческому музею (ГИМ), в Отделе рукописей которого филиграни начали изучать и систематизировать ещё до революции.
А в 2002 г. в ГИМ в сотрудничестве с Институтом проблем передачи информации РАН начались работы по оцифровке изображений водяных знаков, их компьютерной обработке и созданию базы данных. Ими руководит старший научный сотрудник отдела рукописей ГИМ к. и. н. Елена Уханова.
Воспроизвести рисунок филиграни бывает непросто. Существуют различные методы, самый простой из них — ручная прорисовка, но он не слишком точен и потому уже не соответствует потребностям современных историков. Существуют другие способы, основанные на естественно-научных методах, но они не очень доступны.
Кроме того, есть и сложность в том, чтобы получать изображения филиграней с листов, сшитых в блок. Они бывают плохо видимыми в корешке рукописи, из-за текста, написанного сверху, или загрязнений. В ГИМе в начале 2000-х гг. стал использоваться реставрационный прибор Slimlight — это тонкая прозрачная пластиковая пластина с боковой светодиодной подсветкой. Вкладывая пластину между листами рукописи, исследователи получают возможность делать фотографии филиграней на просвет максимально бережно по отношению к древнему кодексу.



Но поскольку в типовом Slimlight используется видимый свет, то визуализации мешают чернила — они непрозрачны для лучей используемого диапазона.
После того, как в 2017 г. между ИКИ и ГИМ было заключено Соглашение о сотрудничестве (продлено в 2024 г.) группа научных сотрудников ИКИ РАН подключились к этой работе. Александр Андреев, сотрудник отдела космической баллистики и математической обработки информации, создал экспериментальные образцы нового прибора Slimlight для съемки в двух полосах инфракрасного диапазона 940 и 850 нм, работа над усовершенствованием которого продолжается. Для получения цифровых изображений филиграней используется цифровая фотокамера Canon, также модернизированная для мультиспектральной съемки.
Используя новый прибор, можно получать цифровые копии контура водяных знаков в бумажных рукописях большого формата XIV – первой трети XVI в. В них использовались железо-галловые чернила, которые прозрачны для ИК-лучей. Но в более поздних рукописях стали использоваться чернила, в состав которых входила непрозрачная для ИК-лучей сажа.
Чтобы решить эту проблему, пришлось использовать программные методы, также предложенные в ИКИ РАН вместе с коллегами из Национального исследовательского центра «Курчатовский институт» (НИЦ КИ) и Московского физико-технического института.
Ученые предложили удалять след чернил посредством попиксельного вычитания при учете корректирующего и вспомогательных коэффициентов. Чтобы использовать этот метод, лист снимают в ИК-освещении (940 нм) в трех режимах: с лицевой и с обратной сторон, а также на просвет. Потом программа «складывает» три изображения и убирает «ненужные» пиксели. Описание метода звучит довольно просто, но за ним стоит не очень тривиальная математика, поскольку программе надо обработать изображения, снятые и с одной, и с другой стороны листа.
Метод был разработан ведущим научным сотрудником ИКИ РАН, к.ф.-м. н. Михаилом Жижиным, а программы были созданы магистранткой МФТИ Натальей Громыко под руководством заведующего лабораторией НИЦ КИ, к.ф.-м. н. Алексея Пойды.
В результате была создана специальная программа, с помощью которой можно обрабатывать цифровые изображения филиграней с трудно различимым контуром, а также веб-платформа для каталогизации и визуализации водяных знаков исторической бумаги на интернет-портале ГИМ.








Теперь любой желающий может работать с филигранями (или просто полюбоваться на них) на сайте ГИМ https://watermark.shm.ru/main.
Каталог ГИМ подключен к международному интернет-порталу «Bernstein – Memory of paper». Этот портал, созданный в 2006-2009 гг., объединяет десятки локальных баз данных филиграней, созданных в разных организациях по всему миру, и предлагает исследователю возможность поиска по ним. При этом сами базы данных на портале не хранятся — только на сайте тех организаций, которым они принадлежит. Сегодня на портале представлены 53 базы данных, а число водяных знаков превышает 320 тысяч.
***
Рамочное соглашение о сотрудничестве между ИКИ РАН и ГИМ было подписано в 2017 г. и продлено в 2024 г. Соглашение подразумевает сотрудничество с целью координации и максимально эффективного использования «научного и информационного потенциалов для получения научных результатов мирового уровня, выполнения инновационных разработок, развития современных методов исследований различных объектов, входящих в коллекции Государственного исторического музея, на основе комплексного естественнонаучного анализа».
Дополнительная информация
- 11.11.2018 Елена Уханова. Изучение исторической бумаги: общеевропейский банк данных водяных знаков средневековых памятников / Блог Исторического музея
- Сайт каталога филиграней (водяных знаков) ГИМ. Проект «Естественнонаучные методы в изучении средневековых рукописных памятников: база данных водяных знаков»